四、血栓对机体的影响《病理学》

四、血栓对机体的影响

血栓形成能对破裂的血管起堵塞破裂口的作用,阻止出血,这是对机体有利的一面,如胃十二指肠慢性溃疡的底部和肺结核性空洞壁,其血管往往在病变侵蚀时已形成血栓,避免了大出血的可能性。然而,在多数情况下,血栓造成的血管管腔阻塞和其他影响,却对机体造成严重的甚至致命的危害。

1.阻塞血管动脉 血栓未完全阻塞管腔时,可引起局部器官缺血而萎缩,如完全阻塞或引起必需的供血量不足而又缺乏有效的侧支循环时,可引起局部器官的缺血性坏死。如脑动脉血栓引起脑梗死、心冠状动脉血栓引起心肌梗死,血栓闭塞性脉管炎引起患肢坏疽等。静脉血栓形成后,若未能建立有效的侧支循环,则引起局部淤血、水肿出血,甚至坏死,如肠系膜静脉血栓可导致出血性梗死。肢体浅表静脉血栓,由于静脉有丰富的侧支循环,通常不引起临床症状。

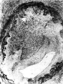
机化的血栓

图3-6 机化的血栓

血管腔内的血栓已为肉芽组织取代有再通现象

2.栓塞 在血栓未和血管壁牢固粘着之前,血栓的整体或部分可以脱落,形成栓子,随血流运行,引起栓塞。如栓子内含着细菌,可引起栓塞组织的败血性梗死或栓塞性脓肿。

3.心瓣膜变形 心瓣膜血栓机化,可引起瓣膜粘连,造成瓣膜狭窄,如在机化过程中纤维组织增生而后瘢痕收缩,可造成瓣膜关闭不全,见于风湿性心内膜炎和亚急性细菌性心内膜炎。

4.微循环的广泛性微血栓形成,即DIC,可引起全身性广泛出血和休克。

上一页:三、血栓的结局
当前页:四、血栓对机体的影响
下一页:第四节 栓塞

返回目录