二、毒性甲状腺肿《病理学》

二、毒性甲状腺肿

毒性甲状腺肿(toxic goiter)是具有甲状腺毒症的甲状腺肿。甲状腺毒症(thyrotoxicosis)是由于血中甲状腺素过多作用于全身组织所引起的综合征,其原因:①90%为甲状腺功能亢进,即甲状腺素的合成及分泌增多,如毒性甲状腺肿、毒性腺、毒性结节性甲状腺肿;②甲状腺素释放增多,如某些类型的甲状腺炎;③极少数情况见于垂体促甲状腺细胞腺或下丘脑促甲状腺释放激素的增多,引起继发性甲状腺功能亢进。

毒性甲状腺肿患者年龄常在30~40岁,女性发病比男性高4倍或更高。临床主要表现为甲状腺肿大,甲状腺功能亢进引起的代谢增高、心悸、多汗、多食、消瘦等症状,约有1/3伴有眼球突出,故又称为突眼性甲状腺肿(exophthalmic goiter)。

【病因和发病机制】

病因虽不太清楚,但已有以下证据说明本病为自身免疫性疾病:①与桥本甲状腺炎有许多相似之处,如血中球蛋白增高,并有多种抗甲状腺抗体;常与其他自身免疫性疾病如重症肌无力、血小板减少性紫癜、溶血性贫血等合并发生;②在诸多的抗各种甲状腺成分的抗体中,最重要的是能与TSH受体结合的自身抗体。因为具有类似TSH的作用,其中可分两种,一种是能促进甲状腺素分泌的甲状腺刺激免疫球蛋白(thyroid-stimulating immunoglobulins,TSI),另一种是促进滤泡上皮生长的甲状腺生长刺激免疫球蛋白(thyroid growth-stimulating immunoglobulins,TGI);③本病有家族性素质,在西方已证明在患者及其亲属中HLA-DR3分布频率高,提示有遗传基因素质。有人推测HLA-DR3人群中抑制性T细胞功能是有基因缺陷的,因而辅助性T细胞增强,使自身免疫抗体生成增多。

【病变】

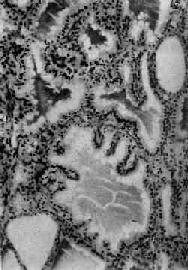
肉眼观,甲状腺对称性弥漫肿大,一般为正常的2~4倍,质较软,切面灰红,胶质含量少。镜下,以滤泡增生为主要特征,滤泡大小不等,以小型滤泡为主。小型滤泡上皮呈立方形,大型滤泡上皮多为高柱状,常向腔内形成乳头状突起。滤泡腔内胶质少而稀薄,胶质的周边部即靠近上皮处出现大小不等的空泡,有的滤泡内甚至不见胶质。间质中血管丰富,显著充血,有多量淋巴细胞浸润并有淋巴滤泡形成(图15-7)。经碘治疗的病例,由于碘能阻断含甲状腺素胶质的分解和促进胶质的储存,故胶质增多变浓,上皮增生受抑制,间质充血减轻,淋巴细胞也减少。与此相反,经硫脲嘧啶等阻断甲状腺素合成的药物治疗者,由于血中TSH代偿性增加,故滤泡增生更明显,上皮呈高柱状,胶质更稀少甚至消失。

毒性甲状腺肿

图15-7 毒性甲状腺肿

滤泡增生,有的扩大,上皮呈立方或高柱状,并乳头状突起。滤泡腔内胶质稀薄,周边有大小不等空泡

除甲状腺病变外,全身淋巴组织增生,胸腺肥大和脾肿大;心脏肥大、扩大,心肌可有灶状坏死及纤维化;肝细胞脂肪变性,空泡变性,甚至可有坏死和纤维增生。部份病例有眼球突出,其原因是眼球外肌水肿及淋巴细胞浸润;球后脂肪纤维组织增生,淋巴细胞浸润及大量氨基多糖积聚而形成的粘液水肿,目前认为系自家免疫反应所引起。

上一页:一、非毒性甲状腺肿
当前页:二、毒性甲状腺肿
下一页:三、甲状腺功能低下

返回目录